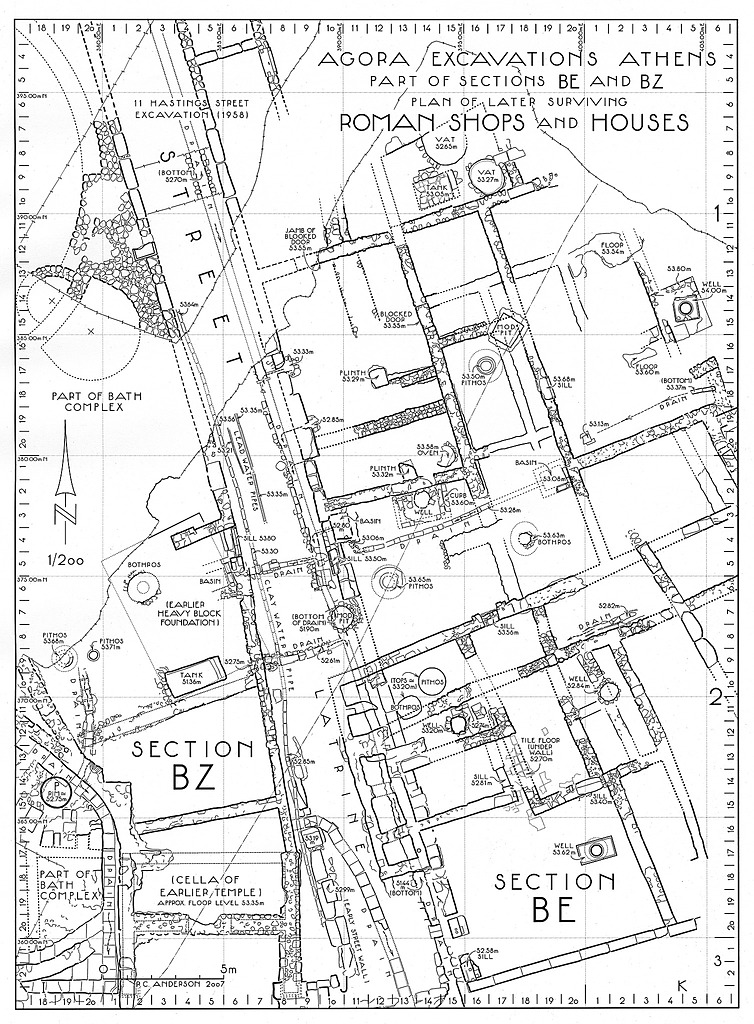
Image: 2015.21.0024Sections BE, BZ. Plan of later surviving Roman shops and houses, 4th-5th century.
image
Archive Number:   2015.21.0024
Title:   Sections BE, BZ. Plan of later surviving Roman shops and houses, 4th-5th century.
PD Number:   PD 2896
Date:   2007
Bibliography:   Hesperia 76 (2007), p. 631, fig. 2.
Rating:   4
References:   Publication: Hesperia 76 (2007)
Drawing: PD 2896 (DA 12102)